Đất nền xã Hòa Long, tp Bà Rịa
Liên hệ mua hàng tại shop
lượt đánh giá
0/5Bạn chưa đánh giá
- Diện tích: Từ 100 - 200m2
- Mặt tiền: > 10m
- Hướng: Tây Bắc
- Giấy tờ pháp lý: Có sổ đỏ/ hồng
dự án Thanh Sơn C
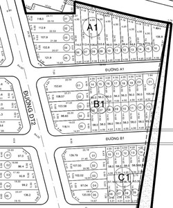
Thông tin chi tiết: ĐẤT NỀN TẠI TRUNG TÂM TP BÀ RỊA. SỔ RIÊNG TỪNG NỀN
GIÁ: 14.5TR/M2 => 16TR / 500M2
Diện tích đa dạng: ,100M2, 200M2.
ĐƯỜNG NHỰA 18M, LÁT ĐÁ HOA CƯƠNG VỈA HÈ 4M.
TIỆN ÍCH:
#ĐẤT_ĐỐI_DIỆN_BỆNH_VIỆN_700_GIƯỜNG_KHU_TTHC_BÀ RỊA VŨNG TÀU - CÁCH SÂN BAY LONG THÀNH 30 PHÚT
Gía tốt khu vực TRUNG TÂM TP BÀ RỊA
VỊ TRÍ:
️ Cách Quốc lộ 51 chỉ 5 phút đi xe
️ Cách Trung tâm TP. HCM chỉ 100km ️ Cách TP. BÀ RỊA 4km, TP. Vũng Tàu 20km
️ Cách Cảng Cái Mép Quốc Tế 6km.
TIỀM NĂNG
Nằm ngay mặt tiền đường Võ Văn Kiệt.
Hệ thống KCN với diện tích 5000ha, Phú Mỹ là trung tâm công nghiệp của BRVT .
Hứa hẹn Thanh Sơn nơi xây dựng ước mơ ngôi nhà của bạn.
Liên hệ: 0938.001.364 (nhi)
lượt đánh giá
0/5Bạn chưa đánh giá

